前日に戻る
2931
Date: 2018-10-08 (Mon)
インドネシアの津波地震も「地震爆発論」を証明している
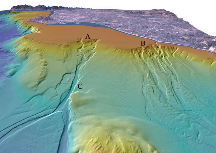
Paluで発生した水平断層が5mにもなることが国土地理院の衛星観測(だいち2号)で判明したそうです。

「変動の特徴は、以下の通り」と発表されています。

ーーーーーーーーーーーーーーーーーーーーーーーーーーーーーーーーーーーーーーーーーーーーーーーーーーーー

・変動域は震央から南側へ約160kmの範囲に及んでいる。
・Paluから南側で大きな地殻変動が見られ、5m程度の変位が生じている(図2)。南北に走向をもつ断層の左横ずれ運動と調和的である。
・単純な1枚の断層ではなく、複数の断層が複合して動いたように見える。 ・震源断層による地殻変動だけでなく、地震の際に誘発されたと思われる断層変位も見られる。

ーーーーーーーーーーーーーーーーーーーーーーーーーーーーーーーーーーーーーーーーーーーーーーーー

発表されている図―2に「押し円錐理論」にもとづく「押し領域」と「引き領域」を加えた図が次の図です。


“断層が動いた”のではなく、爆発(地震の原因)によって断層が形成されたのである。

なお水平ズレの移動量と断層からの距離を見ると、やはり今までに解説してきたように断層付近が最大の移動量になっていることが分かります。石本巳四雄先生が言っていたように、爆発現象という局所的な力によって断層が形成されたことを示しています。西方の海底部には”右ズレ断層が出現している可能性が大きいと思います。[2930]で述べたように西部海域の「引き加速度発生域」と、それより南の「押し加速度発生域」の二箇所で津波が形成されたのではないかと思っています。

興味深いのは今回は左ズレ断層でしたが、サンフランシスコ地震では右ズレ断層でした。発生したサンアンドレアスの測量結果を左右反転すると、全く同じような移動傾向になっていることが判明します。


[2869]に紹介したサンアンドレアス断層(右ズレ断層)の測量結果を左右反転して載せた図面

今回の地震からも、地震は爆発現象であることが証明されていることが分かります。

今回の地震は[2926]で引用した「引き円錐」という非常に稀なケース(火口付近での爆発以外は稀)を想定しなくても「押し円錐」理論で説明できそうです。

なお、震源の深さ10kmに比べて8倍も遠いパル市内で5mを越える断層が発生したことに不思議な感じがするかもしれません。

しかし、爆発の方向性(加速度の方向)とせん断力の生まれる理由、また地表が自由端部であることを考えると、「断層が形成される場所」が力学の知識から納得ができる筈ですので考察してみます。

次の図は押し円錐軸が地表(この場合は海底)と交差する付近の押す力Pと引く力Cの分布を模式的に示したものです。


C力を通説ではCompression、P力を(Extension)と解釈していますが、それでは物理的な意味が通じません。
地震爆発論では、P力はExplosionによる力であり、C力はImplosionによる力のことです。

C点は押し円錐軸が地表と交差する自由端ですが、C点ではせん断力は生じません。断層が出来るのは最大のせん断力が働く場所の筈です。

爆発現象によって断層が形成されるのは、自由端部(地表)でかつ、せん断力が最大になる場所です

概念図で説明すると、C点ではP力(通説では伸長力とされていますが、Explosionによる爆発の力です)は最大になりますが、せん断力はP力とC力(通説では圧縮力とされていますが、Implosionによる吸引力です)の合計として作用しますから、B点やD点がせん断力の大きくなる場所です。

以上を総合すると、自由端部である地表部にあって、しかも陸域にあるのは、この場合D点になります。よって、震源から80km離れた場所であっても、せん断力が最大になるD点で、5mという横ズレ断層が形成されたと推定できます。

横ズレ断層は結果であって、決して断層が動いて強烈な地震動が生まれたわけではありません。 今回の地震で震源から遠く離れた場所で大きく動いたのは、力学的にも納得できることです。

 炭鉱内部では震源に近い筈ですが、崩落などの被害が少ないという事実があります。このことからも「支え」(支持端部)があることが、崩壊を防いでいることが理解できる筈です。地震に対して地下は安全なのです。

2932
Date: 2018-10-10 (Wed)
昭和の初期にあった日本独自の優れた地震学を忘れるな
これまでに解説してきたように、インドネシアを襲った津波地震は震源が浅く押し円錐軸が水平に近いものであったことは、CMTや現場の被害状況などからも推定できるようです。

西方の海域には見えないけれども、熊本地震([2294])や、北丹後地震([2300])で見られたような、直交する「共役断層(通説の理論では死語かもしれない)」が形成されている可能性があります。

押し円錐軸が水平に近い場合でも震源が深くなると、最大のせん断力が発生する場所はB、D点からC′点へと移動し、断層も「横ずれ断層」から「正断層」へと変化します。 その概念図を示したのが、次の図面です。

押し円錐軸が鉛直に近い場合にはいわゆる直下型地震になり、断層は逆断層型になります。軸の傾斜によって最大のせん断力が発生する場所(断層の形成される場所)は決まってくる筈です。([803]「2376]など参照)

通説地震学では断層の形式で地震の強弱が違ってくる、というような「本末転倒理論」「因果関係逆転論」(「「海溝型」地震は逆断層だから地震の規模が大きい」、というような)が信奉されていますが、とんでもない間違いです。こうした通説理論では、なぜ直下型地震が激甚になるのか、なぜ地震で陥没が起きたり、島が隆起したるするのかさえ理解できません。

石本巳四雄、小川琢治ら先輩の業績を無視する姿勢は改めるべきです。

アメリカ生まれの現在の地震学は混乱を招くばかりか、国家を滅亡の危機に導くことに、早急に気付くべきです。

2933
Date: 2018-10-10 (Wed)
一般的な津波の常識とは一致しないパルを襲った津波
毎日新聞が9日に報じたニュースでは今回のインドネシアの津波は常識的な津波とは一致しない点が多いようです。地震が陸域で発生している点はもちろん津波発生の常識には合わないのですが、そのほかにも、周期が短かく、内陸奥地まで達していないこと、[2930]で述べたように場所によって高さが違うこと、などがあげられるようです。記事を紹介します。

ーーーーーーーーーーーーーーーーーーーーーーーーーーーーーーーーーーーーーーーーーーーーーー

インドネシア地震
津波、海底の地滑りが原因か
毎日新聞2018年10月9日
【バンコク西脇真一】

インドネシア・スラウェシ島で起きた大地震に伴う津波について、震源に近いパル湾の海底などで起きた地滑りが原因との見方が出ている。通常より早い段階で引き波が観測されたり、津波による浸水が海岸から100〜300メートルの範囲に限られたりするなどの傾向が見られたためだ。現地調査した東北大の今村文彦教授(津波工学)は「震源は陸地で本来津波は起こりにくい。地滑りによる津波は全体の約10分の1しかなく、日本も参考にすべきことがある」として、メカニズムを詳しく調べる方針だ。

 インドネシア政府の調査依頼を受け、今村教授や有川太郎・中央大教授らは今月4〜6日、パルに滞在した。

 地震は9月28日午後6時(日本時間午後7時)過ぎにパルの北約80キロで発生。今村教授が確認したパル湾中部の港の潮位記録によると、6分後に2メートルの引き波を観測。その約2分後に岸に向かう2メートルの押し波が見られた

 海底で起きた地滑りによる津波は、大量の堆積(たいせき)物が滑り落ちたはずみで海面が揺れて生じる。震源との距離などから推計される通常の津波の到達時間よりも早く津波が到達していることや波の周期が短いことに、地滑りによる津波の特徴が表れているという。

 また、パルは平たんな土地で、通常なら津波は陸地の奥まで到達するが、今回は海岸から100〜300メートルにとどまっていた。津波は通常、内陸部深くに到達するケースが多いが、今回は局所的な被害が目立った。さらに、沿岸にも地滑りの跡があり、これも津波を生じさせた可能性があるという。

ーーーーーーーーーーーーーーーーーーーーーーーーーーーーーーーーーーーーーーーーーーーーーーー

周期が短いことなどから、“海底地滑りによる津波“を想定していますが、かならずしも、そうとは言えないような気がします。

確かに東北大震災でも海底に、“荒砥沢ダム上流の崩壊”(岩手宮城内陸地震)に似た斜面崩壊が起きていますが、肝心なのは崩壊を起こした原因、つまりプラスの加速度(爆発)に原因があるのではないかと思っています。したがって陸上から海中への土砂崩壊でなら、津波は起こります(980ガルの衝撃ですから)が、海中での崩落だけでは大きな加速度にはなりませんので、加速度は加わらず、津波は起きない可能性が高いです。

[2930]の解説では「海底の深浅測量の結果によって、なぞが解ける」とコメントしましたが、正しくは海底での加速度の発生状況が分かれば判明する、ということでしょう。

海底の深浅は変化していなくても、大きな加速度が作用していればプラス加速度域からは押し波が、マイナス加速度域からは引き波が、津波として形成されるはずです。

今回の津波が周期が短かく、内陸まで侵入しなかったのは、「海底隆起は発生しなかったが、大きな加速度が働いた」ということを意味しているように思えます。

学校の理科の実験でやる「箱に煙を入れた空気大砲」を想定すると理解し易いかも知れません。箱をたたく事によって箱の中の空気に加速度が加わり、体積変化は一瞬だけですが、リング状の煙の輪が進んでいきます。輪が通過するのは一時だけで、東北大震災のような長周期の津波とはならず、短時間の高波みたいな津波になるはずです。専門用語を使用すえばソリトンが発生したという言い方もできます。


空気大砲の実験
箱の壁を叩くことで加速度(力)を与えている。

やはり南方域の「プラス加速度域」とその北部域での「マイナス加速度域」からと、二つの津波が発生し、干渉しあって大きな波高と、相殺された小さな波高の部分が形成されたものと推定されます。

深浅測量の結果だけでは謎が解けないことを付け足しておきます。

2934
Date: 2018-10-11 (Thu)
断層地震説という古い考え方では理解できない時代がやってくる
今回のスラウェシ島の地震に関して、USGSの Shake Mapを見ても、左ズレ断層が出現した南北の一帯しか問題にしていません。これは「地震の定義は断層がずれることが地震である」としているからだと思われます。

しかし、断層は地震の傷跡であり、爆発現象が地震であるという立場をとると、地震の傷跡は海底にあっても不思議ではありません。共役の位置関係にある海底にもShakeした場所があって、津波を起したと考える方が素直な考え方ではないでしょうか。

解説してきたように、インドネシアの地震では沖合いに右ズレ断層が形成されているかもしれません。少なくとも、押し領域と引き領域の二つの領域が存在したから、津波が起きた可能性があります。

[2931]で紹介したように、パル付近の横ズレと、サンアンドレアス断層の横ズレが(反転させると)よく似ていることは、興味を惹かれます。断層から離れると変位量が少ないのは局所的な爆発現象によって「鉄板が破れた」ような状況です。

[2860] 古い考え方では判定できない新しい時代が始まっているではカナダ沖合いの右ずれ断層を紹介しました。さらに南に下ったカリフォルニアには何本かの右ずれ断層があるようです。そのうちの一本がサンアンドレアス断層ですが、紀元前から何世紀もの期間に渡って起きた地震による傷跡として断層(右ずれ)が形成されてきたことがわかります。

地震の定義が正しくないために、浅い地震では二本の共役断層が形成されることが現代では認識されていません。石本博士の押し円錐理論なら常識的に理会される現象が今は死語になってしまっています。「共役」の意味も違った意味に取られているようです。

しかし、本当はカナダやカリフォルニアの沖合いにも共役断層が形成されていて、それが沖合いに伸びている断層なのかもしれません。

海底地殻は薄いために、地震(爆発)によって、傷ができやすいと推定されますが、地震爆発論を採用すると、今までの知識がまったく怪しいものであることが見えて来ます。

次世代の地震学者は柔軟な思考で地球の謎を解いてほしいものです。

「古い考え方をもっている人には判定が出来ない」という時代がやって来ます。

参考:

USGSの記事には、地震で破壊されるのは地表面までで、その後「段差」は平たんに均されると書いてあり、地質学者は地震が爆発現象であることを想定している感があります。

By excavating trenches across active faults, USGS geologists and collaborators are unraveling the history of earthquakes on specific faults. Damaging earthquakes often rupture along a fault up to the ground surface, and, in doing so, offset layered sediments that were deposited by water, wind and down-slope movement. Following an earthquake, new sediment may be deposited across the disturbed land, creating a new undisturbed horizon that is younger than the earthquake.

2935
Date: 2018-10-12 (Fri)
宇宙の法・黎明編に描かれた大洪水
今日は映画「宇宙の法―黎明編」の日米同時公開の日であり、早速鑑賞してきました。
驚きの内容をここで述べるわけにはいかない、というのは「場違いな話はやめろ」とお叱りを受けるからです。

しかし、私がどうしても解けなかった大陸棚斜面の海底谷の形成に関する謎が解けたような気がしたので、コメントしておきます。

大陸棚とは、陸棚ともいう、大陸や大きな島の周辺の深さ約 200mまでの傾斜がきわめてゆるやかな海底のことです。水深は地域によって多様であり、平均の傾斜角度は約6′で、海岸平野の延長部とみなされ、地質学的には海水におおわれた大陸といえるそうです。

どこの大陸にも、深海へつながる斜面には、[2737]で紹介したニューヨーク沖のハドソン谷や、ロサンゼルス沖のニューポート海底谷のような陸上でしか形成されない谷が存在します。


ロサンゼルス沖のニューポート海底谷Wikipediaより
A:San Gabrier海底谷、B:Newport海底谷、C:San Gabrier Canyon(幅815m、深さ25m)
映画「宇宙の法・黎明編」を見ると、海水位が一挙に上昇する理由が分かります。

[2701]に紹介した「第三の眼」には「違った重力に引っぱられた水は陸地を襲って大洪水が起こった」という記述があります。海水が宇宙から飛来して、一挙に増加したと考えるのが一番わかりやすいのですが、常識的に考えてそんな現象がどうして起こるのか説明がつきませんでした。

それが映画の中に映像として画かれていたのです。
ある星が宇宙間の戦争で敗北し住めなくなったのは、「違った重力に支配された巨大な水」による「大洪水」攻撃で、水位が一気に上昇したからでした。水中からその星の住人(レプタリアンです)が宇宙船で脱出する様子が画かれていました。

なるほど、ロブサンが映像で見た光景は地球上でもあったことかもしれないな、と思ったのです。

でもこれは、「地震は爆発現象である」という常識破壊の規模ではありません。巨大な常識破壊が起きないと通用しない内容です。しかし、ニューヨークの試写会では人種の坩堝である米国人に映画の内容は「人類の秘史」として好評であったそうです。従って意外に海外からの「巨大常識破壊」の波が起こってくるのかもしれません。「進化論」は完全に過去のものになるでしょう。

ロブサンがかつて巨人族だったという「第三の眼」の記述も「そうかもしれないね」と受け入れられる時代が「宇宙時代の幕開け」としてくるのでしょう。「井の中の世界」に住んでいては、やがて石器時代人扱いを受ける事になります。

参考:ギョー斜面の浸食痕

[2449]でも紹介した佐藤任弘氏の論文を見ると、ギョーの頂部水深は800尋(1200m)程度のものが多い、とあります。

ーーーーーーーーーーーーーーーーーーーーーーーーーーーーーーーーーーーーーーーーーーーーーー

ギヨー問題の展望
佐藤任弘

(ギョーの)頂面深度も不定で、ごく接近した山と山との間でも1.000ft(300m)位は深さのちがう場合がある。多くは520〜960尋(780〜1440m)であるが、中でも800尋(1200m)程度のものが多い。WakeからJohnstone付近のものは、1,100〜1,900尋(1650m〜2850m)のものもある。

ーーーーーーーーーーーーーーーーーーーーーーーーーーーーーーーーーーーーーーーーーーーーーー

したがって、ギョーの斜面に形成される浸食痕と大陸棚斜面に見られる海底谷とは形成原因が別だと思われます。
ギョーの場合は[2723]や、[2929]で説明したように氷底湖の水が抜けるときにできた水流痕であろうと考えられます。


孀婦岩の土台(ギョー)斜面にある水流痕

そのために、海底谷のような長大な峡谷が発達しなかったのではないかと推定されます。

2936
Date: 2018-10-15 (Mon)
インドネシアの津波発生に関する東北大学今村教授の見解
インドネシアの津波に関して今村教授による報告会が東北大学で開かれたと河北新聞が伝えています。

ーーーーーーーーーーーーーーーーーーーーーーーーーーーーーーーーーーーーーーーーーーーーー

インドネシア津波、海底地滑り原因か 東北大が報告会

インドネシアで発生した地震と津波の報告会=11日午後、東北大災害科学国際研究所  

インドネシア・スラウェシ島中部の中スラウェシ州を襲った津波は、地震に伴う海底の地滑りが引き金だった可能性が高いことが11日、明らかになった。現地を調査した東北大災害科学国際研究所の今村文彦所長(津波工学)が同日、研究所で開かれた報告会で説明した。
 今村氏は4〜6日、インドネシア政府の依頼で現地入りし、中スラウェシ州の州都パルや周辺の被災地を調査。津波の高さは海面から最大10メートル程度で、沿岸から200〜300メートル内陸に到達したという。

 津波は局所的に発生し、パルでは地滑りが相次いだ。今村氏は、沿岸に近い海底で複数の地滑りが起き、津波を引き起こした可能性を指摘する。


引き波と押し波の発生メカニズムの説明が地震爆発論とは全く異っている

  津波発生の仕組みは図の通り。土砂が崩落した上部の海水が急激に下がり、引き潮が発生。崩落した土砂によって同時に押し波も起きたという。今村氏は「地震発生から5、6分で沿岸に到達したとみられる」と分析する。
 海底の地滑りによる津波は日本でも確認されている。今村氏によると、駿河湾を震源に静岡県焼津市や御前崎市で震度6弱を観測した2009年8月11日の地震に伴い、海底で地滑りが発生。高さ約1メートルの津波が到達した。津波による大きな被害はなかったという。
 今村氏は「国内各地で起こり得る津波だ。調査と警戒が必要」と話した。
 スラウェシ島の地震は9月28日午後6時2分(日本時間同7時2分)に起きた。マグニチュード(M)7.5、震源の深さは約10キロ。地震と津波の死者は2000人を超え、多数の行方不明者がいるとみられる。

ーーーーーーーーーーーーーーーーーーーーーーーーーーーーーーーーーーーーーーーーーーーーーーー

既に[2933]で紹介していますが、石田理論としては、地滑りを発生させた加速度(爆発による力)が第一原因だと考えています。 陸地から海中への崩落なら別ですが、海中での「がけ崩れ」では、浮力が作用しているので、物体に掛かる力(Body force)は1.6/2.6程度(600gal)に減小します。つまり、大きな加速度は発生しません。

荒砥沢ダム上流で起きた地滑りは「強烈な爆破作用」で発生したものであり、長雨などで発生する地滑りとは違います。


宮城・岩手内陸地震で荒砥沢ダム上流で発生した地滑り

[2933]のコメントを再掲しておきます。

---------------------------------------------

確かに東北大震災でも海底に、“荒砥沢ダム上流の崩壊”(岩手宮城内陸地震)に似た斜面崩壊が起きていますが、肝心なのは崩壊を起こした原因、つまりプラスの加速度(爆発)に原因があるのではないかと思っています。したがって陸上から海中への土砂崩壊でなら、津波は起こります(980ガルの衝撃ですから)が、海中での崩落だけでは大きな加速度にはなりませんので、加速度は加わらず、津波は起きない可能性が高いです。

---------------------------------------------

結果としては同じような崩落であっても、「ゆっくり崩落する」のと「加速度があって急激に崩落する」のとでは違いがあります。

たとえば、巨大な潜水艦が移動しても津波は起こりませんが、爆発すれば津波が起こります。加速度が発生しているからです。

地震現象とは断層が動く現象ではなくて、加速度を伴う爆発であることを認識しないと、真相の究明は出来ないと思います。

2937
Date: 2018-10-16 (Tue)
断層地震説を信じている地震学者もマスコミも無反省で時代遅れである
苫小牧の地震の後で、Business Journalに京都大学の橋本学教授へのインタビュー記事が載っていました。いろいろと考えさせられる記事ですので紹介します。

ーーーーーーーーーーーーーーーーーーーーーーーーーーーーーーーーーーーーーーーーーーーーーーーーー

首都直下地震、北海道地震と同じ原因で発生か…東京もブラックアウトの可能性
2018.09.10 構成=長井雄一朗/ライター

観測史上最大の地震が北海道を襲った。9月6日に発生した北海道胆振東部地震はマグニチュード(M)6.7、最大震度7を記録し、震源地は胆振地方中東部だった。  

地震発生のメカニズムはさまざまだが、原因は大きく「活断層」「プレート境界」に分けられる。しかし、京都大学防災研究所附属地震予知研究センターの橋本学教授は「そのどちらでもない可能性が高い」と語る。  

橋本教授は「今回の地震は、いわば第3のタイプであり、発生が懸念される首都直下地震も同じタイプとなる可能性が高い」と示唆する。「地震予測に過剰な期待を抱くべきではない。いつどんな地震が起きるかわからないため、防災や備えもケースバイケースであることが重要」と説く橋本教授に話を聞いた。

特殊な地域で起きた「第3の地震」

――北海道は地震の少ない地域とされており、今回の発生は意外でした。特徴などはありますか。

橋本学氏(以下、橋本) 内陸の活断層やプレート境界に起因するものではないでしょう。震源地の付近には、日高山脈、札幌や苫小牧に向かう石狩低地帯があります。また、札幌から浦河沖にかけてプレート境界の名残があります。北海道の東部と西部がここで衝突していることで、大きな力が働いたのではないでしょうか。現時点では確証はないですが、そう解釈しない限り、今回の地震は理解できません。

 また、活断層が原因である可能性が低いのは、震源が37キロ、つまり深すぎるからです。活断層でもプレート境界でもないとすると、今回の地震は第3のタイプといえます。「○○断層帯が動いたのでは」という小さな視点ではなく、「地殻に東西から力が加わり、大きなひずみが生じる」という大きな視点で分析することが必要です。

――今回の地震と同じようなタイプの地震は、過去に発生していますか。

橋本 学生時代、1982年に発生した浦河沖地震について研究しました。その結果、プレート境界に起因する地震ではないことがわかり、この地域が特殊な場所であることはわかっていました。

 浦河沖地震については、地質学者で東京海洋大学の木村学特任教授も研究しており、「日高山脈にかつてのプレート境界があり、衝突活動がある」という論文も発表されています。そのため、研究者の間では「北海道のあの地域には、プレートの運動とは別に、東西の方向に圧力が働いている」ということは、わりと知られていました。

――しかし、メディアは相変わらず「活断層」や「プレート境界」説を取り上げることが多いです。

橋本 それは、メディアが“犯人捜し”をしているからです。しかし、犯人は別の場所にいるかもしれません。阪神・淡路大震災や十勝沖地震、さらに南海トラフ巨大地震のようなタイプとは異なる要因の地震が、今後も発生する可能性はあります。  

地震の報道に関しては、メディアだけが悪いわけではなく、きちんと情報発信をしない地震学者にも責任があると思います。先に述べたように、今回は震源が37キロという深さなので、活断層説を唱えるのは無理があります。熊本地震の震源は深さ11キロ、阪神・淡路大震災では16キロですから、活断層を原因とする過去の大地震の倍以上の深さです。そこになんの疑問も抱かないような科学者は信用に値しないでしょう。

北海道地震と首都直下地震に共通点?

――余震など、今後の危険についてはいかがでしょうか。

橋本 地震学者の大森房吉が1899年に発表した「大森公式」に照らし合わせても、現時点(7日)では地震活動は終息していくと考えられます。今のところ余震活動は熊本地震や新潟県中越地震ほど激しくなく、福岡県西方沖地震や鳥取県中部地震のように、このまま減衰してくれることを願うばかりです。ただし、予断を許さない状況には間違いありませんから、1週間くらいは様子を見る必要があります。

――6月に公表された地震調査委員会の「全国地震動予測地図2018年版」では、北海道南東部で大地震が起きるリスクが高まっており、実際に近い範囲で発生しました。

橋本 あの予測の精度は、それほど高くないのです。特に確率評価は誤差が大きい上に、発生確率が高い、プレート境界に起因する地震の寄与が大きいのです。そのため、活断層で起きる地震や今回のようなタイプの地震の発生確率は低いので、その寄与は目立ちません。北海道であれば千島海溝、西日本であれば南海トラフで巨大地震の発生確率が高く評価されていますが、「地震動予測地図」では、主にそれらのタイプの地震による寄与が強調されています。

――首都直下地震の発生も懸念されています。

橋本 発生時期はわかりませんが、首都圏の地下には2つのプレートが沈み込んでいるため、引き続き注意が必要です、首都直下地震が起きるとすれば、今回のタイプに近いと考えています。1894年に発生した明治東京地震(M7)も、北海道胆振東部地震との共通点があるかもしれません。  

全道が停電するブラックアウトが発生しましたが、大震災時には東京も同様の事態に陥る可能性はあるでしょう。やはり、深刻な問題となるのはインフラへの打撃です。首都機能の分散も検討すべきでしょうが、コストなどの問題もあります。首都圏の大地震については、内閣府も揺れや被害を計算しています。これらのデータは公開され、各自治体へも伝えられていますので、どのようにうまく生かすかがポイントです。

――6月の大阪府北部地震から3カ月もたたないうちに、北海道胆振東部地震が発生しました。今後、我々が注意すべき点はなんでしょうか。

橋本 一人ひとりが災害や防災について考える機会を増やすことが大切です。地震予測は「当たるも八卦当たらぬも八卦」の世界です。プレート同士が地中の境界でゆっくり滑る「スロースリップ」が大地震に先駆けると考えられていますが、スロースリップはわりと頻繁に起きていますので、次のスロースリップが本震につながるかどうかわかりません。また、スロースリップがなく、地震は突発的に発生することもあるでしょう。そのため、日頃からの備えや意識が大切です。

なぜ地震予測は難しいのか

――地震予測に過剰に頼るのではなく、普段の備えが肝要だということですね。

橋本 そうです。これまで、的中した地震予測はありません。災害に備えるための図上演習のようなシミュレーションは、その意味では価値があると思います。ただし、どこでどのような地震が起きるかはわかりませんから、避難の際もケースバイケースで各自の判断が求められるのが実情です。

――そもそも、なぜ地震予測は難しいのでしょか。

橋本 地震が発生するメカニズムやプロセスが正確にわかっていないからです。一方で、確度の高い予測をするためには膨大なデータやコストが必要になります。

 南海トラフ巨大地震に備えて、政府の地震調査研究推進本部は海底ケーブル式の地震・津波観測システムを新設する方針ですが、それ以上の投資は難しいでしょう。総工費約200億円が高いか安いかの議論はありますが、私は津波対策には一定のコストをかける必要があると思っています。もちろん、新観測網は津波対策にも寄与するものであり、その点では期待しています。

ーーーーーーーーーーーーーーーーーーーーーーーーーーーーーーーーーーーーーーーーーーーーーーーー

以上がその記事です。

橋本教授は今回の地震を「活断層」でも「プレート境界」でもない、第3のタイプだと言っています。「北海道の東部と西部がここで衝突していることで、大きな力が働いた」第3のタイプという事ですが、そのような力が作用しなくても、「解離ガス」が生成されれば、どこにでも爆発つまり地震は発生します。またそんな力が自重で沈んでいくプレートから生まれてくる筈がありません。地震学者はいつまでたっても全くナンセンスな会話ばかりしています。  

今回の地震は、本質的には中越地震、中越沖地震、岩手・宮城内陸地震、東北大震災で勿来沖の爆発などと同じ、CCSに起因する“人災型地震・Induced Earthquake”です。 アメリカでは“人災型地震”という用語が使用([2794]アメリカ生活e‐ニュース)されていますが、橋本教授の認識には「札幌から浦河沖にかけてプレート境界の名残があります。北海道の東部と西部がここで衝突していることで、大きな力が働いた」という“自然地震”としての認識しかありません。

また、「地震の報道に関しては、メディアだけが悪いわけではなく、きちんと情報発信をしない地震学者にも責任がある」と述べていますが、地震学者そのものに、アメリカのような“人災型地震”という発想がありません。

地震爆発論学会では、youtube上だけでなく書籍としても「苫小牧でのCCSは中止すべき」と4年前に出版した「「地震学」と「火山学」ここが間違っている」のなかで発信しています。


2014年12月15日工学社より発刊

問題は地震学者が何時までも古い地震学に拘泥していることです。その知識でいくらマスコミが情報を発信しても、何の役にも立たないことを知ってほしいと思います。 マスコミは地震爆発論学会の発信情報を受け取るべきです。

地震学者は予知に失敗ばかりして、重箱の隅をつつくかのようなスロースリップ研究が重要だという言い方をしていますが、要するにポイントを外しているわけです。

地震予知ができないのは地震発生のメカニズムを取り違えていることが最大の原因です。

予知ができたためしがない、と述べておられますが、少なくともCCSの現場である苫小牧で地震が起きることは何年も前から石田地震科学研究所、および地震爆発論学会が警告を発していたことをまともに「取り上げる」べきではないでしょうか。

参考:Induced Seismology

Induced seismicity refers to typically minor earthquakes and tremors that are caused by human activity that alters the stresses and strains on the Earth's crust. Most induced seismicity is of a low magnitude. A few sites regularly have larger quakes, such as The Geysers geothermal plant in California which averaged two M4 events and 15 M3 events every year from 2004 to 2009.

アメリカでは人為的に起こした地震という概念はあるのですが、規模が小さいので平気なんでしょうか。人為地震の原因も地殻の「応力−歪」関係を変化させるからだと認識していますが、地震爆発理論から言えば間違いです。
カリフォルニアのガイザーズ地熱発電所では毎年M4クラスの地震が2回、M3クラスが15回も起きていることを人災地震として認識しています。地下の熱水を汲み上げる地熱発電でも解離条件を破壊して地震を起こすのです。

ただ、マグマの存在が深い場所にあるので、日本のようには解離層を乱す規模が大きくなく、地震の規模も小さいだけです。それでもオクラホマでは2010年から地震が急増し、M5.1という大きな地震まで起きています。


シェールオイル採掘で生じる廃液を地下に注入して人為的地震を起こしているオクラホマ州
液体の圧入という点では苫小牧でも同じことをやっている。
だからCCSは危険である!

日本やインドネシアのような火山帯ではCCSも地熱発電も絶対に止めなければいけません

後記:「反省から再出発」はどうなった?

地震学、反省から再出発〈震災1年あすへの証言〉
2012年3月7日


写真:平田直・東京大地震研究所教授(右)と橋本学・京都大防災研究所教授

 東日本大震災は科学者にも大きな問題を突きつけた。超巨大地震の可能性を予測できなかった地震学、後始末に長い年月がかかる原発事故、影響が予測しきれない放射能汚染。震災発生から1年を機に、問題点や将来に向けた課題を専門家に聞く。

「敗北」甘んじて受ける 平田直・東京大地震研究所教授  

我々が全地球測位システム(GPS)などの地下の動きを探る精密な観測網を手に入れたのは阪神大震災の後。東北沖でマグニチュード(M)9の地震を起こしたエネルギーが500年以上かけてたまった最後の10年くらいを見ていただけなのに、地震をずいぶん分かったように思っていた。考えが足りなかった

 地震学への社会の期待は予測して防災に役立てること。東日本大震災を予測できなかったのは地震学の敗北だと言われれば、甘んじて受けるしかない。基礎科学とはいえ、これは地震学の宿命だ。

地震学者は何ら反省などしていない
今も「活断層」と「プレート論」で仕事をしているが、
まったく役に立っていない!
地震学の宿命ではない、道を間違えているだけだ!

2938
Date: 2018-10-16 (Tue)
災害を自ら招来する愚かさ先進の国になってはならない
地震爆発論を支持するコメントを書いてくださる「世相徒然ブログ」で、

「「このままでは東京大地震は必ず来る」なんて言い切るとまた誰かに怒られそうなので、一応可能性が高いと注釈をつけておきます。」

という注釈をつけた記事があります。

しかし、[2937]に紹介した橋本教授の認識から判断して、現状では注釈は必要がなくなると結論されます。

つまり地震学者にまったく「人災地震」という認識がないのですから、CCSを止める理由が無いからです。

実は、苫小牧の地層はカテゴリーBに分類される水平な地層で、長岡のようなキャップロック形状のカテゴリーAではありません。


長岡市深沢はカテゴリーA、苫小牧はカテゴリーB
Bが可能になると経済効果が高まる。

私は、水平地層ならば、液化CO2を圧入してもトコロテン式に地中深くには移動することは無いのかな、とも考えていましたが、今回の地震で、安心感が吹き飛びました。

電力中央研究所の雄勝実験場のケース(岩手・宮城内陸地震)もカテゴリーBに近い傾斜地層でしたから、やっぱり、圧力は地中深くに伝播して、水の解離現象を左右することになるようです。

このままでは、北九州も東京湾内もCCS地震の犠牲をまぬかれないことになります。

何処にでも存在するカテゴリーBに圧入を考えたのは[1662]に紹介したように経済的な理由です。

「キャップ・ロックを持つ帯水層への貯留(カテゴリーA)では、貯留に適した地層が限定されます。また、大量発生源である火力発電所や製鉄所、化学工場などで回収した二酸化炭素を、貯留に適した地層まで運搬する必要があります。これに対し、図に示すようにこれらの(カテゴリーB)大量発生源直下の深さ2000m〜3000mの岩盤中に二酸化炭素を注入できれば経済的であり、分散型の大容量の地中貯留が実現できます。」

カテゴリーBの苫小牧でも地震が起きたということは。地震学の切り替えをしない限り、日本全国が危険にさらされるということです。

間違いだらけの地震学は国を滅ぼす」という現実に直面しています。アメリカもCCSやシェールオイルの採掘(廃液の圧入)で地震を起こしていますが、「地震爆発論」を知りませんので、国土の基盤が蝕まれていっています。本当は日本が教えてあげないといけませんが、肝心の地震学者が無知ではどうしようもありません。

映画「宇宙の法」の中で「地球神の計画を妨害する」裏宇宙のダハールという存在が描かれていました。そのダハールが地球人の愚かさを利用して「原発は危険だし、地球は温暖化するぞ」とか「CO2を地中に埋めろ」とかそそのかして、「地球文明の自滅」を嗾けているかのように見えてしまいます。地球人は(特に日本人は)もっと賢こくならなければいけません。

大陸はなぜあるの?のブログ主も、10月11日に、

「それでなくてさえ各種の自然災害が多発する日本列島において、人為的な要因でそれを増幅させることがあってはならない。さもなければ将来「災害を自ら招来するという面でも先進的な国」という汚名を着せられることになる。

と書いておられます。

このままでは、国土を荒廃させ、自滅しますよ!!
地震学を切り替えなさい!!

2939
Date: 2018-10-18 (Thu)
シェールオイル採掘での廃液圧入とCCSは全く同じ作業である
Wikipediaにある人工的地震(human induced seismic events.)の解説と人工地震リストから、シェールオイル掘削と地熱発電の項目を紹介します。アメリカでは人為地震のメカニズムまでは把握されていませんが、原因としてはCCSも含まれていることがわかります。CCSが地震を起こすことは既知の事実なのです。

ーーーーーーーーーーーーーーーーーーーーーーーーーーーーーーーーーーーーーーーーーーーーーーーー

Induced seismicityより

Induced seismicityは、CCS(炭素捕捉および貯蔵の貯蔵)としての二酸化炭素の注入によって引き起こされ得る。 この効果はオクラホマ州とサスカチュワン州で観察されている。貯蔵が大規模である場合、リスクは依然として重大です。 Induced seismicityの結果は、地殻の既存の断層を破壊し、貯蔵場所の密封の完全性を危うくする可能性がある。


fluid injection と withdrawal が断層に与える効果
CCSなどによるInduced Sesmicityの説明 Wikipediaより
地震は爆発現象ですから、
地震発生に関するメカニズムそのものの解釈は正しくない。

List of induced seismic eventsより

The following is a list of human induced seismic events.
(人為地震のリスト(抜粋))

Causes(原因)

 (訳)
主な原因には、人工湖(ダム湖)、鉱山業、注入井、石油の採掘、地下水抽出、強化地熱発電システム、炭素の捕獲と貯蔵(CCS)、水圧破砕、および地下核兵器試験が含まれる。

リスト

1952 Fracking M5.7
(訳)
2015年に発表された米国地質調査所(USGS)の地震調査の結果は、1952年のマグニチュード5.7のエル・リノ地震のようなオクラホマ州の大地震の大半が石油業者の、深井戸への廃棄物の注入によって引き起こされた可能性がある。 "地震の発生率は、特に2010年以降、中米の複数の地域で顕著に増加しており、科学的研究により、この増加した活動の大半は深井戸掘削井の排水注入につながっている

1973 Geothermal power plant M4.6

(訳)
調査によると、ガイザーズフィールドに水を注入すると、マグニチュード0.5から3.0までの地震が発生するが、1973年には4.6が発生し、その後マグニチュード4の地震が増加した。

ーーーーーーーーーーーーーーーーーーーーーーーーーーーーーーーーーーーーーーーーーーーーーーーーー

石油業者が廃液を深井戸に圧入する行為と、CO2を深井戸に圧入する作業(CCS)とは、液体を圧入するという点でまったく同じ作業です。地下深部の解離層バランスを破壊し、水素ガスを発生させる危険性が高いのです。水素ガスが爆発することが地震の本当のメカニズムなのです。

アメリカでは地殻の「応力―ひずみ関係」を変化させるから、断層が滑り易くなるという認識で、事実の把握は間違ってはいますが、液体を圧入すると地震が起きることは認識されています。

翻って日本では、まったくその認識がありません。リストにあるように、アメリカではM5.7のエル・リノ地震は廃液の圧入によって「起こしてしまった」という事実は認めています。

やがて確実に苫小牧CCSがM6.7地震の原因で、人為地震だったことが問題になる日が来るでしょう。それだけではなく、中越地震、中越沖地震、岩手・宮城内陸地震、東北大震災の勿来沖地震も問題にされることでしょう。

アメリカの学者が強化地熱発電の真相に気がつけば、熊本地震を起こしたのが八丁原地熱発電所の影響([2360])だったことも問題にされていくでしょう。

その時に、地震学者が見苦しい“言い訳”しないように、覚悟を決めておいてほしいものです。
長岡でのRITEの責任者に送った「学者のお墨付きがあって法的責任は免ぜられても、道義的責任は残る」という言葉(CO2地中貯留計画責任者の安全認識参照)が、予言的に響いてくる感じがします。

地震学者が小川琢治博士や石本巳四雄博士の功績を無視してきたことを恥じる時代がそこまで来ています。

アメリカ渡りの断層地震説を捨て、
日本で生まれた地震爆発論を採用しないと
地震の真相は把握できません。

2940
Date: 2018-10-18 (Thu)
「人災型地震」という概念があるアメリカでも地震が起きる理由は把握されていない
アメリカでは「人災型地震」という用語が一般市民にも使用されていますが、地震がどうして起きるのは理解されていません。

アメリカ生活e-ニュースに載っている人災型地震多発地域を見ると、有感地震に関係する排水井戸と関係しない井戸の分布が示されています。


「アメリカ生活e-ニュースに載っている「人災型地震」を生む排水井戸

その違いが生まれる理由については説明がありませんが、USGSの解説には「深い井戸に注入する」と有感地震になると説明してあります。

地震爆発論ならば、納得出来る理屈です。

ーーーーーーーーーーーーーーーーーーーーーーーーーーーーーーーーーーーーーーーーーーーーーーーー

水圧破砕はどのように地震や振動に関連するのか?

However, wastewater produced by wells that were hydraulic fractured can cause “induced” earthquakes when it is injected into deep wastewater wells.

Hence, wastewater injection is much more likely to induce earthquakes than hydraulic fracturing.

有感地震を引き起こす水圧破砕の報告は極めてまれである。 しかし、水圧破砕で生成された廃水は、深い排水井に注入されると「induced」地震を引き起こす可能性があります。 廃水処理井は、長時間作動し、水力破砕操作よりもはるかに多くの流体を注入する。

廃水の注入は、岩石形成の圧力レベルを、水圧破砕よりもはるかに長い時間およびより大きな領域にわたって高めることができる。 したがって、廃水注入は、水圧破砕よりも地震を誘発する可能性が非常に高い。

ほとんどの廃水注入井は、地震と関連していません。 有感地震を引き起こすためには、噴射に多くの要素の組み合わせが必要です。

ーーーーーーーーーーーーーーーーーーーーーーーーーーーーーーーーーーーーーーーーーーーーーーーー

どのサイトを見てもそうですが、日米ともに、断層地震説での解釈、つまり「応力-ひずみ」関係から地震現象を説明しているために、説得力の無い話で終わっています。

圧力が長時間作用して「応力-ひずみ」関係が壊れる、という物理現象ではなく、水素と酸素のDetonationという化学反応として解釈しないと、地震時のCo-phenomena(音響、発光、温度上昇など)を説明することはできません。

深い井戸に圧入した場合にだけ有感地震になるのも、深いほど深部の高熱地帯に影響を与え、水の解離状態を変化させるからです。

日本のようにマグマが浅い場所にある火山帯に位置するところでは、有感地震の規模も大きくなるのは当然です。


マグマが浅い場所にある日本のような火山帯ではCCS事業は一層危険である
断層地震説を採用するから、「Induced Earthquake」という概念になりますが、地震爆発説を採用すれば、これは「Man-made Earthquake」です。
実は、Induced(誘発)ではなく
Man-made(人工)地震である

参考

Wikipediaにも、CCSが大きな地震を引き起こす可能性について言及しています。

---------------------------------

Important of risk analysis for CCS

CCSが大きな地震やCO2漏出を引き起こす可能性は、依然として議論の余地のある問題である

---------------------------------

経産省や企業はなぜもっと慎重に対処しなかったのでしょうか。これから責任が追及されるでしょう。

2941
Date: 2018-10-19 (Fri)
地熱発電によるMan-made地震・スイスの執着は危険である

スイスのバーゼルで、地熱発電の建設中に地震が発生し、関係者が裁判にかけられたというニュースを[1669]で紹介しました。当時のAP通信の記事がありましたので、紹介します。熊本地震は大分県との県境付近で日本最大の地熱発電所(八丁原地熱発電所)が操業していたことを鳥取地震の後に気がつきました([2360])が、どうして日本では問題にしないのでしょうか。

スイスではバーゼルの地熱発電は中止になっていますが、アヴァンシュという町で再度計画が持ち上がっているそうです。

日本では熊本地震も鳥取地震も地熱発電との関連が話題になっていません。

地震爆発論を拡散しないと、悲劇が増えるばかりです。

ーーーーーーーーーーーーーーーーーーーーーーーーーーーーーーーーーーーーーーーーーーーーーーー

地震後に放棄されたスイスの地熱発電計画

断層線上にある都市の下での「高熱岩体発電」は、資産に損害を与える罪に直面する可能性がある
アダム・ギャバットとAP通信
2009年12月15日

「高熱岩体発電」は環境に配慮した発電方法であると考えられていました。スイスの地質学者が地面を掘削し、水を送り込み、熱い岩石によって生成された蒸気を使って10,000の家庭に電力を供給することを計画しました。

しかし地熱発電所は一連の地震の発生後に放棄されなければならなかった。

プロジェクトの設計者、地質学者Markus Haeringは故意に財産に損害を与えたことを否定しています。来週判決が出る見通しであり、有罪判決を受けた場合、最高5年の懲役になる。

Geopower Baselが率いるこの計画は、地下で水を沸騰させて商業的に電力を発生させることを目的としていました。 Haeringのチームは、地下3マイル(4.8km)を貫通する一連の穴を掘削する予定でした。

Swissinfoニュースのウェブサイトによると、一連の震動が起こる前に、水は195度以上の温度で岩石の上に汲み上げられていました。

このプロジェクトは3年前、最も強い地震発生の後に中断されました。リスクアセスメントでは、その後の地震の可能性が高いことが示されて以来、Basel市での掘削を継続するには高すぎました。

へーリング氏は、地元の人々がリスクを認識していたと言って、意図的な損害という申し立てを拒否しました。

彼は掘削を開始する前にチームが「地震活動の知識はほとんど知りませんでした」と言い、地震を「関係するすべての人の学習プロセス」と呼びました。

プロジェクトリーダーは緊急計画を策定した、と彼は言った。 「毎分、私たちは何が起こっているのかを知り、即座に行動することができました。

彼は、チームが3.4マグニチュードの地震の直後にシャフトに加圧水をポンピングするのをやめたと述べた。

地熱発電所バーゼルは、プロジェクト中にいくらかの岩の滑りを予測していた。断層線の上にあるバーゼルの位置 は熱が地球の表面に近いため意図的に選択されていました。しかし、ヘーリング氏は、マグニチュード3.4の地震は予想以上に強かったと認めた。

ジオパワーは、割れた壁や近くの住宅や他の建物への同様の損害に対する補償として、すでに約9百万スイスフラン(£5.35m)を支払っています。

これとハウリングの裁判にもかかわらず、地熱プロジェクトに対するスイスの意欲は減少していない。(注:参照

エンジニアは先月チューリッヒで予備掘削を開始し、スイス東部のサン・ガレン(St Gallen)が来年、地熱プロジェクトを開始する計画だという。

その努力は、エネルギー省がいくつかの州で120以上の地熱エネルギープロジェクトを後援している米国では、注目されていると伝えられている。 ーーーーーーーーーーーーーーーーーーーーーーーーーーーーーーーーーーーーーーーーーーーーーーーー

記事を見ると、技術者たちは地熱発電で地震が起きることは考えてもいなかったようです。いくらかの岩の滑りを予測していた、ということは「断層地震説」の知識しかなかったことを意味しています。

アメリカのエネルギー省が注目していたようですが、その後、Geysersで何度も「人災型地震」を起こしています。

日本の関係者はどうして地熱発電がMan-made地震になる可能性に気付かないのでしょうか。権威ある大学の学者が推奨(「本命は地熱発電」)までしていることに驚きを感じます。([1672]参照)

注:地熱発電へのスイスの執念

賛否両論の地熱発電、カムバックなるか?


アヴァンシュの旧市街。最新式のエネルギー供給の恩恵を受けられるか

 「バーゼルのプロジェクトは地震のせいで中止になった。しかしそこで集めたデータを使って、地震リスクを下げられそうな新しいコンセプトを開発することができた」と、ゲオ・エネルギー・スイス社のオリヴィエ・ジングさんは説明する。

 実のところ小さな地震はEGS技術にはつきものだ。この方法の核は岩の破砕であり、岩が砕かれるたびに地震エネルギーが放出されるからだ。  

「地震活動を起こしつつ、地表に被害が出ないようにすることがポイントだ」とジングさんは付け加える。

ーーーーーーーーーーーーーーーーーーーーーーーーーーーーーーーーーーー

要するになぜ地震が発生するのか、「地震とは水素の爆発現象である」ことが理解されていないのですから、プロジェクトは危険です。

2942
Date: 2018-10-20 (Sat)
人災型地震に関するUSGSの甘く危険な判断
北カリフォルニアの地熱発電が行なわれているガイザーズ地域で人災型地震が起きることは、住民には知られています。「アメリカ生活e-ニュース」では天災型地震と見られている雰囲気がありますが、当事者や近隣の住民には分かっているというUSGSの記事を以下に紹介します。

しかしUSGSの解説でも、地震発生のメカニズムが正しく把握されていません。M5を超える大きな地震が起きていないので、住民も大目に見ているのかもしれませんが、本当はMan-madeの危険な人災を起こしているのです。

USGSの甘く危険な判断を紹介します。

ーーーーーーーーーーーーーーーーーーーーーーーーーーーーーーーーーーーーーーーーーーーーーーーー

カリフォルニア北部のガイザー地域にどうして多くの地震が起きるのか?

Geysersの地熱フィールドは、北カリフォルニアのテクトニクス的に活発な地域に位置しています。この地域の主要な地震ハザードは、San AndreasHealdsburg-Rodgers Creekの断層など、地熱地域から数マイル離れた地域の断層に沿って発生する大地震によるものです。しかし、電力を生産するための蒸気の回収に関連する活動は、現場において小さな震動を引き起こすか誘発します。これらの小さな地震は、現場で働く人や近くの住人によって頻繁に感じられます

1960年代に発電が開始されたとき、Geysersの地震活動は記録されていませんでしたが、1975年以来、高精度の地震観測データが利用可能であり、蒸気生産の増加と注入水の増加が地震活動の変化と正の相関を示しています。 1980年代半ば以降、スチーム貯留層が枯渇して発電量が減少したにもかかわらず、地震活動のレベルは一定値を維持していました。

1969-1995年カリフォルニア州サンタローザの地震活動マップでは、地震が地熱発電でどのように空間的および時間的に拡大したかを示しています。

地震学者はなぜ地震が引き起こされているのかを説明するためのいくつかのメカニズムを提案しています。

地熱発電の運営者は、蒸気(水から沸騰させたもの)と熱を取り出していますが、その両方が周囲の岩石を収縮させ、収縮応力の結果として地震を誘発する可能性があります。さらに、作業者は抽出された蒸気を水に凝縮させ、水深1〜3kmの深さの水蒸気リザーバに戻して水の寿命を延ばしています。さらに、近くのLake CountyとSanta Rosaからの再生水はThe Geysersにポンプで送られ、蒸気貯蔵所に流入しています。凝縮した蒸気と再生された水は冷たく、岩は熱く、この熱的コントラストは地震を誘発する重要な要因であると思われます。また、注入された流体の液圧によって、水の浸入路を作るので、増加した流体圧力に起因する破砕を容易にする可能性もあります。

現在まで、The Geysersで記録された最大の地震は約M4.5です。マグニチュード5が発生する可能性はありますが、大きな地震は起こりそうにないと考えられています。より大きな地震が発生するためには、大きな断層が存在する必要があります。例えば、サンフランシスコ地震の1906年のマグニチュード(M)7.8は、サンアンドレアス断層の約300マイルを裂開させました。ザ・ガイザーズには、このような連続的な亀裂は存在しないことが知られています。むしろ、多くの蒸気井および注入井の近くにある岩石には、数多くの小さな割れ目が存在します。上記の活動は局所的な応力変化をもたらし、これが主な局所構造応力に加えられると、これらの小さな断層の地震を誘発します。

ーーーーーーーーーーーーーーーーーーーーーーーーーーーーーーーーーーーーーーーーーーーーーーーー

このほかにも、USGSにはThe Hayward Fault;Is It Due for a Repeat of the Powerful 1868 Earthquake?という記事があって、1868年に動いたヘイワード地震から150年経過する今年中に再度大地震が来るのか?という心配も住民には持たれているようです。

記事の中では「1868年の地震の150周年は2018年です。科学者たちはヘイワード断層がいつ(起きてもおかしくない)大きな被害をもたらす地震が予想されるところに到達したと確信しています。」と述べていますが、断層が動いて地震が発生するのではありません。


カリフォルニアには断層が何本も走っています。
大きな地震が起きる度に断層が出来たのであり
断層が動いて地震が起きたのではないことを証明していると思います。(地震爆発論の見解)


ヘイワード断層の掘削による研究では、いずれもM6.3を超える強い地震の記録を提示しています。
1868年以前の地震の時期は放射性炭素年代測定に基づいています。
連続する地震の間隔は95年から183年にわたり、平均150年であり、1868年の地震以来150年以上経過しています。

ーーーーーーーーーーーーーーーーーーーーーーーーーーーーーーーーーーーー

[2934]でも解説しましたが、カリフォルニアの断層は右ズレ断層です。沖合いの海底には左ズレの共役(Conjugate)断層が発生していると推定されますが、アメリカの地震学の記述にも、石本先生らが述べていた共役断層という概念(断層は押しと引きの境界に発生すると言う「押し円錐理論」の知識)が全くありません。

断層地震説そのものがアメリカで誕生したものですが、物理現象から乖離した「間違い地震学」です。これでは、今後共に大きな悲劇を生み続けます。日米共に地震学者の再考をお願いしたい思います。

地震の周期性というのはプレート論から発生する概念ですが、プレート論が破綻していることを認めれば成立しません。周期性があるとすれば、[1546]で述べたような地殻の「疲労破壊」のほうが説得力があると思います。

地震の発生メカニズムが把握されていないですから、判断も間違えるでしょうし、住民に難儀をかけることになるでしょう。私は日本は勿論(苫小牧で実証)アメリカや世界での地震対策のあり方に危惧の念を抱いています。

2943
Date: 2018-10-21 (Sun)
アメリカの要人に「地震発生原因への無知を放置すると悲劇を生む」と伝えてください
アメリカでもInducede EarthquakesMan-made Earthquakes と断定するまでには至っていません。

地震の原因を把握していないからですが、USGSの記事を紹介します。

ーーーーーーーーーーーーーーーーーーーーーーーーーーーーーーーーーーーーーーーーーーーーーーー

Induced Earthquakes

概観
過去10年間に、アメリカ中部の地震の数は劇的に増加しました。 1973年から2008年までの間に、米国中部および東部にM3以上の地震が平均して25回ありました。 2009年以来、M3地震の平均数は年間362回に飛躍しました。M3以上の地震発生率は2015年の1010がピークでしたが、地震発生率は2016年と2017年にそれぞれ690と364回に減少しています。それにもかかわらず、この率は年間平均25回の地震よりはるかに高い。これらの地震の大部分は、M3〜4の大きさの範囲にあり、多くの人が感じる有感地震ですが、被害が出ることはほとんどありません。被害は、2016年に発生したM5.8 PawneeおよびM5.0 Cushing Oklahoma地震などを含む大きな地震で起きています。


2015年以降地震回数は減っているが、それでも2008年までの年平均25回をはるかに超える回数である。

このような地震の増加は、2つの重要な質問を提起します。

その地震は自然(natural)なのか人工(man-made)なのか?

•リスクの軽減のためには、こうした地震の原因と結果を取り上げる際、今後何をしなければならないのか

ーーーーーーーーーーーーーーーーーーーーーーーーーーーーーーーーーーーーーーーーーーーーーーー

名古屋市にあるアメリカ領事館にはある人を通じて、地震爆発論の資料や、トランプ大統領への提言動画[2878]参照)に関する資料が渡っているのですが、「USGSに連絡・報告してください」程度の扱いで、今のところ関心を持って頂けるところまで行っていません。

上の記事にあるUSGSの問題提起に対しては「それはman-made地震です」「必要なことは地震理論を断層説から爆発説に切り替えることです」という答えになるのですが、小さな組織では影響力が発揮できなく残念です。

読者のなかで、影響力を持つ方があれば、アメリカの要人に教えてあげてください「地震のメカニズムに関する無知を放置すると大変な悲劇を生みます」という件をです。

日米ともに地震学者が気付くことが最重要なことですが・・・。

このままでは次のCCSが計画されている北九州市が危険です。

2944
Date: 2018-10-22 (Mon)
地中への廃水圧入規制が始まった米国と野放しの日本
「CCSによって地震が起きる」というスタンフォード大学の研究はAFP通信でも報道されていて、このセミナーでも2度紹介しました。([2322][2918]

国連(UN)の気候変動に関する政府間パネル(Intergovernmental Panel on Climate Change、IPCC)は、火力発電やその他の工業排出源による汚染管理法としてCCSは「実現性が高い」としているいっぽうで、スタンフォード大学では否定的に見ています。

いまだ大規模なCCSが試みられていない中、スタンフォード大のチームは、膨大な量の液体を長期間地中に貯留する必要のあるCCSは非現実的」であるとし、「大陸内部によくみられる脆性(ぜいせい)岩石に大量のCO2を注入することにより、地震が引き起こされる可能性が高い」と主張しています。30万トンの圧入を目標にした「苫小牧の先進的事業?」は愚かな試験だったのではないでしょうか。([2322]の報道記事参照)

さらに、今回報じられたスタンフォード大学の研究では、シェールオイル掘削によって生じる廃液の圧入に関しても言及し、圧入に規制を掛ければ、地震が減ることを報じています。

しかし、圧入規制をする基礎にあるのは断層地震説であり、増圧による地盤破壊を防ぐという内容ですから[2943]に紹介したように年間25回というシェールガス採掘以前の水準にまでは戻ることがありません。依然として「はるかに高い水準の地震」が発生することになるでしょう。

ーーーーーーーーーーーーーーーーーーーーーーーーーーーーーーーーーーーーーーーーーーーーー

Researchers map susceptibility to man-made earthquakes

September 26, 2018, Stanford's School of Earth, Energy & Environmental Sciences

オクラホマ州とカンザス州で発生した地震は、石油・ガス事業の副産物である排水の注入により増加しましたが、注入が制限されるようになりました。スタンフォード大学の研究者によって開発された新しいモデルは、2020年までのオクラホマとカンザスでの人工地震の減少を予測するもので、地震物理学と廃水注入に関する地質学的反応を組み込んでいます。


オクラホマ州とカンザス州で始まった注水規制で人工地震(man-made earthquake)の発生確率が減るというモデル計算

しかし、地震の発生メカニズムが理解されていないので、計算のようにはならない可能性が高い(地震爆発論学会の見解)

このモデルは、オクラホマ州北部とカンザス州の北部に位置する約7,000フィートの深さの堆積層であるArbuckle層への排水注入に関する公的に入手可能なデータに基づいています。石油とガスの採掘から出る廃水の注入が現在の速度で継続していると仮定すると、研究者らは、この地震が将来の地震を経験する可能性を示唆しました。この研究は9月26日にNature Communications誌に掲載されました。

スタンフォード大学地球環境科学研究所の地球物理学教授であるマーク・ゾバック(Mark Zoback)は次のように述べています。「私たちは、規制当局が問題の大部分を知ることを可能にする詳細なモデルを作成しました。 「これは、オクラホマ州などで、規制措置の科学的根拠を提供するために使用することができます。

地域性の考慮

石油やガスの操業では、大量の塩水が発生することが多く、飲料、家畜、灌漑用の地表近くの帯水層の水を保護するために地中深くに注入することによって処分します。

Arbuckle層に注入された流体は、広い領域に広がる圧力を増加させます。この圧力は、すでに地殻変動プロセスのストレスを受けている近くの大きな断層に影響を与える可能性があるため、問題があります。これらの断層は、注水によって引き起こされる圧力増加がある場合、広く影響し、潜在的に有害な地震を発生させる可能性があります。

著者の一人Cornelius Langenbruch(スタンフォード・アースの博士研究員)によると、同じ圧力上昇が異なる地域でも地震の数を最大100倍にする可能性があるという。地震は必ずしも圧力の変化が最も大きい地域に集中するとは限らない。地震が発生するのかどうかを現地に応じて理解するために、新しいモデルは、この地域の既存の弱い断層に応じて圧力増加を評価する。

「地震に対する局所的感度の影響が非常に大きく変動することは私にとって驚くべきことでした」と、ランゲンブルク氏は述べています。 "オクラホマの例で言えば、これらの人工地震に関連する地震ハザードを管理する鍵は、排水の量と場所を管理することです。

強制削減

オクラホマ州の誘発地震は2009年頃に大幅に増加し、2015年にピークを迎え、州の北部と中央部に約1,000回の地震が、広範囲に及んだ。オクラホマ州の公益事業委員会(オクラホマ州コーポレーション委員会)は、2016年初めに40%の排水注入削減を命じ、以後地震の数は減少した

新しいモデル(2000年から2018年までの809回の注入井データを含む)では、M5.0以上の地震の可能性が、32%(2018年)、24%(2019年)および19%(2020年)の確率であることを示しています。オクラホマの政策は機能しているといえます。
オクラホマ州北部とカンザス州南部での現在の注入実績がこのまま継続すれば、2020年までに5.0以上の地震が発生する(災害発生が予測)可能性があります。

「新しい研究の結果は間違いなく良いニュースです。しかし、問題は、一部地域の地震発生確率が依然として歴史的な水準よりもはるかに高いことである。

将来のシナリオ

この調査の予測図では、オクラホマ州とカンザス州の住民は、潜在的に地震の被害が家の近くで発生する可能性を知ることができます。

新しいモデルは、地震ハザードを軽減するための将来の注入シナリオを評価するためにも使用できます。

Zoback氏によると、この方法論に関する素晴らしい点は、予測ができるだけでなく、規制当局が取る可能性のある新しい措置に基づいて新たな予測を行う能力だということだ。 「プロセスの初期段階でこれらの分析をかなり早く行うことができます」

研究者は、このモデルが石油・ガス事業の拡大に伴い他の分野でも使用されることを望んでいます。西テキサス州のペルミアン盆地のような場所は信じられないほどの速さで開発されており、その地域にはすでに地震が発生している可能性があるとZoback氏は述べています。


シェールオイルの採掘が始まったパーミアン盆地

ーーーーーーーーーーーーーーーーーーーーーーーーーーーーーーーーーーーーーーーーーーーーーーー

アメリカでは廃液の圧入に規制を掛ける方向で法的な規制が始まっているようですが、「断層の破壊による地震を防ぐ」という発想ですから、本当の意味での地震発生の原因を防ぐ考慮はなされていません。解離ガスが長期的に蓄積されれば、大きな地震に繋がる惧れもあります。

日本の地震学は世界の最先端だというような話をきくことがありますが、その日本ではCCSで液体を圧入することを何ら規制する考えがありません。

それどころか、異分野の科学者が『中越地震はCCSによる人災ではないか』と問題提起をして国会質疑にまで発展したのに、4人の地震学者が「無関係」という「お墨付き」さえ与えています。

地下に液体を圧入すること、または熱水を吸引することで地震を起こす可能性があることなどまったく無視・黙殺しています。あるいは「知っていても知らないふり」を知らないフリをしているのかもしれませんが、将来的には恐ろしい災害が待っているように思います。

地震学者よ責任が取れるのか!?

2945
Date: 2018-10-22 (Mon)
CCSを賛美する怪しいグローバルな会社は何が目的なのか
CO2 を地中に貯留すると、何が起こるかというGlobal CCS Instituteのサイトがあります。

その解説を読むとCCSはまったく安全で、住民に難儀を齎すようなものでないと書いてあります。近代化して地価が上がるという如何わしい話まで載せています。

現実にはアメリカでは「人生を台無しにされた」という訴えが起きています。


シェールオイルの採油に使った薬品混りの廃液は地下の環境を壊し、熱解離を起こして地震の原因になる
断層地震説では合理的な説明がつかない
だから、地震爆発論に切り替えなければならない

土地の使用権を与えた住民はきっとこの報告書にあるような「いいことずくめ」の話を聞かされたのだと思います。

その一部を抜粋して編集しました。

・「飲料水に影響などありません」と言っているのに、住民は蛇口から出てくる水を飲めません。それどころか。水に含まれて居るガスが燃えるのです。

・「表土には何も影響を与えません」「生物にも何ら影響を与えません」と言っておきながら、住民は農業も、牧場も止めざるを得なくなっています。人生を棒に振るようなことになるとは夢にも思わなかった、と言っています。

・「有感地震など起きません。感知できないような振動だけです」と言っておきながら、現時には被害地震が発生しています。男性が「(起こらない)と説明していた地震がなぜ起きているのか説明してくれ」と叫んでいます。

日本でも「CCSに不信を抱いた人」が問題を提起しているのに、地震学者が「無関係です」と言ってしまう不祥事?が起きています。

映画「宇宙の法・黎明編」(2週連続で週末観客数がトップという人気らしい)の中で、地球侵略を狙うダハールという存在が描かれていますが、その悪人の手口を髣髴とさせるような話に思えてしまいます。

・「(地球の)皆さん、これから地球は二酸化炭素による温暖化で大変ですよ。島が沈んでしまいますよ」

・「二酸化炭素を液化して地下に封じ込めれば、安全に気候変動が防げます」

・「地下に封じ込めても、何の影響も出ませんから安心してください。地震なんて決して起きませんから、保障しますよ」

とささやき、CCSが善であるかのような「思い込み」をさせているように思えるのです。

ダハールならば、地球人が住めないような環境を作っておいて、地球乗っ取りを計画するのかもしれません。

因みに中国の指導者が「ダハールは俺に似ているなぁ」と言ったとか言わないとか・・・・です。善良なる地球人の皆様、気をつけましょう。

2946 
Date: 2018-10-23 (Tue)
USGSでも地震のメカニズムが正しく把握されていない
USGSのEarthquake FAQに載っている「地震はどうして起きるのか?」の解説を紹介します。

断層が突然に滑ることが地震であると説明していますが、この認識では何年研究しても地震の真相は把握できませんし、直前の地震予知などまったく不可能です。 グアテマラ地震(1976年2月4日)を予知し住民を救ったマヤのリーダー([75])の方がよっぽど頼りになる、というものです。 森純造グアテマラ駐在大使の手紙を「これが地震雲だ」(鍵田忠三郎著)から紹介します。

ーーーーーーーーーーーーーーーーーーーーーーーーーーーーーーーーーーーーーーーーーーーーーーーーーーー

Q:地震とは何ですか?何が原因で起きるのですか?

A:An earthquake is caused by a sudden slip on a fault.

地震は断層の突然のスリップによって引き起こされます

構造プレートは常にゆっくり動いていますが、摩擦によってプレートの端部が閊えてしまいます。

端部でのストレスが摩擦を超えると、地震が起こり、エネルギーを放出し、地殻の中を地震波として伝播し、われわれが感じる揺れとなります。

カリフォルニアには太平洋プレートと北米プレートの2つのプレートがあります。

太平洋プレートは、太平洋の大部分とカリフォルニア沿岸線とで構成されています。

北米プレートは、北米大陸のほとんどと大西洋フロアの一部で構成されています。

これらの2つのプレートの主な境界はサンアンドレアス断層です。

サンアンドレアス断層の長さは650マイル以上で、深さは少なくとも10マイルに及びます。

ヘイワード(カリフォルニア州北部)やサン・ハシント(カリフォルニア南部)のような多くの小さな断層はサンアンドレアス断層帯から分岐しています。

太平洋プレートは北西プレートを北西方向に毎年約2インチの速度で削っています。

サンアンドレアス断層システムの一部は、一定の「クリープ」による動きによって、多くの小さなショックといくつかの中程度の地震動が発生します。

クリープが一定でない他の地域では、ひずみが何百年も蓄積し、最終的に大きな地震が発生します

ーーーーーーーーーーーーーーーーーーーーーーーーーーーーーーーーーーーーーーーーーーーーーーーーー

地殻といえども、厳密には粘弾性体ですから、何百年も「ひずみ」が蓄積される事などありえません。

森大使が経験したグアテマラ地震でも鉄道の変形が写真に残っていますが、断層の付近だけ変位現象が現れるのは、地震が爆発現象であることを示しています。


1976年のグアテマラ地震の写真(Wikipediaより)

世界中の地震学者が「地震は断層が急激に動いて、地震波を発生する現象である」と考えていますが、これは間違いです。
何度も言うように、地震は爆発現象です。爆発の結果として「断層が形成される場合もある」ということです。小さな爆発では断層などできません。「未知の断層が存在した」とか「断層がないのに地震が起きた」というコメントを気象庁が発表するのはこのためです。

地震の定義そのものが間違っています。早く気付いてください。

[75]には石田研究所を開設した目的([3]にもあります)が次のように示してありました。開設以来16年が経過しましたが、自分の知識を使って自分の頭で考えるお役に、少しは貢献してきたのかなと思っています。

「これからの社会は私たち一人一人が酋長の智慧を生かして、自分の知識で自分の身を護ることが必要になります。そのための基礎知識をアナウンスするのが石田研究所の使命と思っております。その意味で民間の研究グループの活動は意義深いものと思っています。」

2947
Date: 2018-10-24 (Wed)
1976年のグアテマラ地震と地熱発電の関係性を疑う
森大使が体験されたグアテマラ地震の前年に中南米最初の地熱発電所がエルサルバドルで操業を開始していたことを知りました。国境を挟んでいますがアウアチャハン地熱発電所はグアテマラに隣接しています。

グアテマラ地震の前年(1975年)に操業が開始された中南米最初のアウアチャパン地熱発電所

地震との関連を疑うような検討はなされていません。この地震に関してWikiの記事から紹介します。

ーーーーーーーーーーーーーーーーーーーーーーーーーーーーーーーーーーーーーーーーーーーーーーーーーー

グアテマラ地震 (1976年)
死者:22,870人
負傷者76,000人以上
1976年のグアテマラ地震は、同年2月4日にグアテマラで発生した地震。震源地は、首都グアテマラシティ北東160kmのモタグア断層で震源の深さは5km、モーメントマグニチュード (Mw)7.5。1917年以降にグアテマラで発生した地震の中で最も大きな被害を出した地震である。多くの余震が発生し、被害が拡大した。

グアテマラの先住民(マヤ系諸民族)は更なる貧困に追いやられることになり、政府による援助も期待できなかったため、協力して困難を乗り越えようとした。1970年代以降、先住民労働者による支配者層(ラディーノ)への抵抗運動が次第に勢いを増していくが、この地震は先住民が団結し政治的な表舞台へ進出する転機となった.

ーーーーーーーーーーーーーーーーーーーーーーーーーーーーーーーーーーーーーーーーーーーーーーーーーー

震源はグアテマラシティーから160km北東とありますが、一年以内に発生した大きな余震(After shock)はAhuacyapanに近い場所でも起きています。


1976年のM7.5グアテマラ地震の震源および余震の震源位置(赤い星印)
赤丸はアフアチャパン(Ahuachapan)地熱発電所の位置

1976年当時にはグアテマラに地熱発電は無いと思っていましたが、隣接するエルサドバドルでは1975年に操業が開始されていたようです。本震とは100km以上離れていますので、地震と関連があるかどうか明確には分かりませんが、余震は近くでも起きていますので、無関係とはいえず、疑いが持たれます。

科学技術の発展とともに火山噴火や地震の多発が続いていますが、基本的な理解として、地中の「圧量―温度」の関係を人為的に改変することの危険性が認識され知ないことが、とても心配です。もっと真剣に地熱発電や、CCS、そして廃液の地下圧入などと噴火、地震との関連を研究するべきであると考えます。

傲慢な科学者の愚かな行為が地球を滅ぼすことの無いように祈ります。

2948
Date: 2018-10-24 (Wed)
宇宙時代に向けて地球自体の知識を入れ替えよう
USGSの「地震の科学」というページに地震予知や、宏観現象について否定的な見解が書いてあります。
地震現象が正しく理解されていないために否定的な見解になっていますが、地震爆発論で考えれば、肯定的な別のコメントになります。

ーーーーーーーーーーーーーーーーーーーーーーーーーーーーーーーーーーーーーーーーーーーーーーー

The Science of Earthquakes

Can scientists predict earthquakes?

科学者は地震を予測できますか?

いいえ、地震を予測することはできません。 科学者たちは、地震を予測するさまざまな方法を試みましたが、どれも成功していませんでした。科学者は将来、どの断層でもいつか別の地震があることを知っているが、いつ起こるかについては知らない。

地震気象のようなものはありますか? 地震が起きる時期を動物や人間が教えることはできますか?

これらはまだ明確な答えがない2つの質問です。もし 天気が地震発生に影響を及ぼすとしても、またはもし地震がいつ来るかを動物や人々が知ることができるとしても、我々はそれがなぜなのかは理解できません。

ーーーーーーーーーーーーーーーーーーーーーーーーーーーーーーーーーーーーーーーーーーーーーー

プレートテクトニクス理論や断層地震説を信奉している限りは、地震予知は不可能です。地震は熱解離した酸素と水素のDetonationであるとして、予兆の観測を積み上げれば、将来的に予知は不可能ではないと思います。 また、気象が地震に影響するのではなく、地震に伴う地下からの熱水やイオンなどの上昇によって、大気圏に影響を与えることはありえます。

一般的には地震の前には蒸暑くなるはずです。電離層が下がってくるために、FM波の視聴範囲が変化することもありますし、コンパスの異常など言い伝えとしてある宏観異常は科学的に説明可能です。

気象庁の高木聖博士が考案された「無定位磁力計」による観測網の構築計画が「地震現象と磁力異常の関係を示す科学的根拠が無い」という理由で著名な地震学者たちによって反対され、計画が頓挫したことはまことに残念なことです。その経緯は[1698]や一連の国会審議を参照してください。

人類が月や火星に出かけようとしている時代にあっても、肝心の地球に関する理解が間違ったままです。宇宙時代を迎えようとしているのに、残念なことです。

古い思考を総入れ替えしなければさらなる進歩・発展はできないのです。

2949
Date: 2018-10-25 (Thu)
Trump大統領とUSGSへの二つの提案PPT資料完成
地震爆発論学会からの「トランプ大統領への二つの提言」は、名古屋市にあるアメリカの領事館からは、「USGSに連絡していただくのが最良だと思います」という素っ気ないものでした。

そこで、「大統領とUSGSへの提言」と改題しPPT資料を作ってみました。苫小牧地震がCCSによるものであることも踏まえて、作り直しました。

Two proposals to USpresident &USGSを広い範囲の人々に拡散して頂きたいと思います。

マスコミは地震爆発論をまったく報道せず、CCSの危険性を隠蔽しています。何のために、誰のために隠蔽するのかよく分かりませんが、地震学者とともに日本社会の健全化のために何の役にも立っていません。

追記: PPT資料「Two proposals to USpresident &USGS」の内容を動画にしてみました。Seismology Revolutionです。アメリカで見て欲しいものです。


地震学の革命 Seismology Revolutionを起こさないと、国土が破壊されてしまいます。


米国学術研究会議(US National Research Council)は、
「水圧破砕法(ハイドロ・フラッキング)によって地震が発生する可能性は低いが、CCSには「比較的大きな地震事象を誘発する可能性がある」
と発表しています。しかしこれは断層地震説に基づいたもので、地下の「応力ー歪」のバランスを崩すからであると考えています。
これでは地震の真相を把握できません。地震は爆発現象です。

2950
Date: 2018-10-29 (Mon)
これ以上「罪」を犯さないように各位善処されたし
世相徒然ブログに「アホで間抜けな環境省」という記事がありました。CCSを推進しているのも環境省なんですが、man-made地震を起こしていることには眼をつむっています。 アメリカでも、CCSによるinduced地震と言う概念はありますが、スタンフォード大学の報告を見ても分かるように、CCSで地震が起きる本当の理屈までは把握できていません。

プラスチックごみは焼却すれば問題が無いのに、CO2の排出規制という足枷があって、(CCSを実施して)大きな災害を起こしているのです。

事の重要さから言えば、「アホで間抜け」と揶揄するだけでは済まされません。「有罪」なんです。

抜粋して紹介します。

ーーーーーーーーーーーーーーーーーーーーーーーーーーーーーーーーーーーーーーーーーーーーーーーーーー

アホで間抜けな環境省のやることは、無意味なレジ袋有料化という環境負荷を大きくする政策だ

2018-10-28 20:41:08NEW !
テーマ:環境問題

 環境省はろくでもない役所である。地球温暖化防止策しかり、リサイクル施策しかり、何をやっても無意味で社会的な混乱と破壊、そして金の無駄使いをして、何にも気がつかないバカ役人の集まる役所である。

環境省は何もしないでじっとしているのが、一番環境には優しいのである。

 何度も言うが、この役所、環境省はホントにアホで、バカで、無能というしかない。

レジ袋完全有料化したってプラスチックごみの海洋汚染防止に何らつながらないのは子供でもわかることだ。

地球温暖化やリサイクル、再生可能エネルギー等に詳しい科学評論家近藤邦明氏が次のように明快に今回の件を批判している。

-----------------------------

「マイクロプラスチックごみの生成過程は、今更説明の必要もないのでしょうが、環境中に投棄されたプラスチック製の容器が、紫外線にさらされ経年劣化し、物理的な外力によって次第に破砕されて細かくなったものです。  

 マイクロプラスチックごみが大量に発生する根本的な原因は、現在の工業生産に支えられた市場経済において梱包資材・容器としてプラスチックが使いやすい材料であり、大量に生産されていることです。そして、利用価値を失ったプラスチック容器などの後処理に失敗したことが第二の原因です。

 工業廃物は元々地表面環境には存在しなかったものであり、生態系の物質循環・処理システムにはなじまず、地表面環境を汚染することになるのです。これが環境問題の本質です。

 さて、そこで工業文明を安定的に運用し、継続させるためには何が必要か、ということになります。工業文明といえども、人間は雑食性の動物であり、生態系なしには生きていくことができません。したがって、工業生産システムと生態系が持続可能な形で共存していくことが必要になります。

  問題解決の道は明白です。工業生産によって生じる生態系で処理不能であり、あるいは生態系に負の影響を与える工業廃物を、生態系から隔離することであり、あるいは工業的な手段で、生態系で処理可能なものにすることです。前者の典型的なものが「核廃物」です。  

 ここで、有用なリサイクルと無意味なリサイクルがあることが重要なポイントです。

有用なリサイクルとは、工業生産過程において、バージン資源を利用するよりも低コストで同等の製品価値を生むようなリサイクルです。したがって、商品価値があり、市場が成立するのです。
 例えば、鉄屑や銅線であれば、バージン原料を使って製鉄、精錬を行うことに比較すると、ただ溶解するだけで即座に製品となるのですから、とても安上がりです。この安上がりという意味は経済的な意味だけではなく、物理現象として重大な意味を含んでいます。安上がりということは、それだけ製品製造に投入する地下資源量やエネルギー量が節約され、したがって工業生産過程から生じる廃物量も少なくて済むことを意味しているのです。

 ところが、環境問題が注目され始めると無意味なリサイクルが始まります

工業的に有用であることよりも廃物量を減らすことに主眼が置かれるようになりました。その結果、無意味なリサイクルは伝統的な屑屋さんのリサイクルとは異なり、ごみを出す方がリサイクル処理業者に処理費を支払う「逆有償」になったのです。
 これは当然のことです。工業的にも再資源化に大きなコストがかかり、バージン資源を使うよりもはるかに高コストで、したがって再資源化の過程で多くの資源とエネルギーの投入が必要であり、しかも雑多な混入物のために低品質の製品にしかならないからです。

 近年、特に工業製品は複合材料で作られたのもが多く、しかも微細な構造をもったものが多くなっています。リサイクルにはますますコストが大きくなります。

 そこで適正なリサイクルとは何かを考えます。これは既にお判りの通り、経済的、物理的に有効なリサイクルが可能な=経済価値のあるリサイクルのみを行い、それ以外の工業廃物はごみとして処分すべきなのです。

 さて、やっとマイクロプラスチック問題に戻ってきました。

現在の非生物系のごみの多くを容器用のプラスチックごみが占めています。しかもプラスチックは材質がばらばらであり、再資源化には膨大な手間がかかり、しかもリサイクル製品の品質は低品質にならざるを得ません。したがって、仮に需要があったとしてもそれほど多くを処理することは望めません。
 現実的には、リサイクル業者の倉庫には行き場のない回収プラスチックが山積みとなり、海外へ輸出していましたが、中国が引き取りをやめるや否や処分のしようがなくなってしまいました。これではやがて不法投棄が拡大してマイクロプラスチックごみは増えるばかりです。レジ袋の有償化など何の本質的な改善にもなりません。

 ではどうすればよいのか?答えは明白です。リサイクル資源として活用可能な少量のプラスチックは有償でリサイクルを行い、リサイクル資源として市場価値のないプラスチック廃物は資源ごみではなく、本来のごみとして処理すればよいのです。
 回収したプラスチックごみはそのまま埋設処分するのではなく、ごみ発電プラントの燃料として燃やすことで大部分を生態系で処理可能な排熱と二酸化炭素に分解し、おまけに電力を得ることができるのです。残った灰はボリュームが小さくなるので安定化処理して埋設処理すればよいでしょう。場合によっては、ごみ発電燃料として有償で引き取ることも可能かもしれません。そうすれば市場経済の中で商品価値を生むかもしれません。  

プラスチックごみを焼却処分するという、きわめて合理的な処分方法に対して足かせとなっているのが「人為的CO2地球温暖化仮説」に基づく『温暖化防止対策』の非科学性ですが・・・。」

-----------------------------

(近藤氏主張の引用終り)

どうですか。レジ袋有料化が全く無意味であることがわかっていただけましたか。

大いにレジ袋を使って、廃棄したら燃やせばいいだけの話です。有料化してマイバッグなどにすれば更に資源の無駄使いになるだけ。万引き家族を喜ばせるだけです。またレジ袋の有料化は、消費税増税と同じように低所得者への逆累進性もあります。

しかし、この「焼却」に環境省は地球温暖化防止というバカげた施策により、難色を示すのです。CO2は地球温暖化に関係ないということがわかれば、プラスチックゴミの問題は簡単に解決するのです。

また、この地球温暖化防止がCCSを通じて大地震を誘発させるのです。プラスチックによる環境破壊以上に直接生活や経済、命をも破壊する。それもこれもみんな地球温暖化CO2説を信ずる環境省が悪いのです

(もちろん一番の悪は気象学者とIPCCですが)

ーーーーーーーーーーーーーーーーーーーーーーーーーーーーーーーーーーーーーーーーーーーーーーーーーー

発電プラントの燃料として燃やすことで大部分を生態系で処理可能な排熱と二酸化炭素に分解し、おまけに電力を得ることができる

そういう方法が採用できないのは“思い込みです”。「人為的CO2地球温暖化仮説」に基づく『温暖化防止対策』の非科学性です

CO2は海藻や植物によっては「食事」に相当するものです。海藻や植物が繁茂して人間が困ることは何もありません。

そのCO2を地下に貯留してしまうのと言うのは「人間のエゴ」ではないでしょうか。地球の人間達は「違う食べ物」を食す生命体を虐殺するのか、それも「人間に必要な酸素を供給する」生命体を、という批判が起きてくるでしょう。


僕達を虐殺すれば、酸素が無くなるよ!

ここまでなら「アホで愚か」で済む話なのかも知れませんが、CO2を液化して地下に圧入し・・・・大地震を起こしてしまっている現実を、なぜマスコミは報道しないのでしょうか。

気象学者も、地震学者も、また環境省、通産省の役人も、そして報道しないマスコミも全て「有罪」です。万を超える人命の損失と、その何倍もの無辜の民の難儀とを、どうやって償うつもりなんでしょうか。

原爆投下の責任者は、深い後悔の底にあるでしょう。「終戦を早めたのだ」という言い訳をしているアメリカ国民の心の底にも「懺悔」する思いがあると思いますが、上に述べた「有罪」者もやがて夕闇のような「憂愁の念」に晒されるときがくるでしょう。

そのときのregretは「アホだったなぁ、愚かだったなぁ」では済まされないものがあります。その感情がこれ以上深くならないように各位で善処されることをお願いしたいと思います。

人間は「反省」という行為によって
何度でもやり直すことができる


というのが「宇宙の法」黎明編のテーマでもありました。

後記:

ある方からメールを頂きました。

----------------------------

最近ある科学者がこの度の北海道地震についてCCSによる影響は皆無だなどと否定的な見解をしている方がいらっしゃいます。

→続:北海道”胆振地方"中東部での地震 [ 電磁気で地震予知]
https://goto33.blog.so-net.ne.jp/2018-09-06-1#more

以下にコメントより抜粋↓

追記:苫小牧沖では、日本CCS調査株式会社が地中への二酸化炭素処分 実験を行っていました。地震の当日は圧入は行っていなかったそうです。

なお本実験は、日本という場所に二酸化炭素などを地層に貯めて二酸化炭素排出量を削減する技術を適用可能かどうかを調べるための試験です。
地層に貯めた二酸化炭素が自身によってどのような挙動をするか、 これも試験項目に一つです(こんな大きな地震が起きるとは思ってなかったとは思いますが)。また二酸化炭素圧入によって、今回の地震が起きたなどということはありえません
by MANTA (2018-09-08 09:23)

以上抜粋終了↑

この方の説明に対してはどのような考えや反論を持たれますでしょうか? またこの方は最近本も出版されています。後藤忠徳さんというそうです。

----------------------------

私も席を置いたことがある京大工学部の若い方のようで、言い難いのですが、プレート論と断層地震説をベースにした内容でまったく新味はありませんでした。既にこのセミナーで解説してきましたので、改めてコメントする気にもなれませんでした。「CCSは大きな地震を誘発する危険がある」というスタンフォード大学の研究すらご存じないようです。

上述した「善処」をお願いしたいものです。

前ページへ戻る  次へ進む
索引へ戻る